Mặt tiền Nguyễn Triệu Luật chỉ 50 tr/m2, ko quy hoạch, lộ giới ít, có dãy trọ và kiot mặt tiền

Phường Tân Tạo, Quận Bình Tân, Thành phố Hồ Chí Minh

Xem trên bản đồ
--- --- 174 m² Đông Nam Năm xây dựng: 2002

9.1 tỷ

52.3 triệu/m² 174 m²

Ước tính trả góp: 42.09 triệu/tháng

Thông tin mô tả

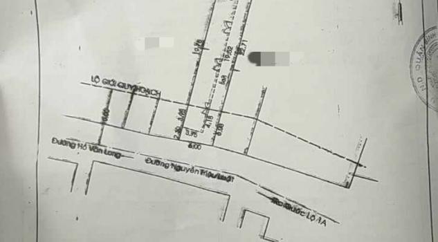
Bất động sản mặt tiền đường Nguyễn Triệu Luật với giá chỉ 50 triệu đồng/m2, không gặp vấn đề quy hoạch, và ít lộ giới, hiện đang có căn nhà cho thuê với doanh thu ổn định. Mã căn: 140, thuộc phường Tân Tạo, trên đường Nguyễn Triệu Luật. Diện tích đất là 174m2, hình chữ nhật 6 x 29m, trong sổ ghi nhận138m2 đã trừ lộ giới. Trên mảnh đất có căn nhà mặt tiền cho thuê và dãy 8 phòng trọ với lối đi riêng bên hông, đảm bảo thu nhập ổn định. Đường trước nhà là đường nhựa rộng 7m, có lề đường, xe container có thể vào tận nhà và đỗ xe thoải mái. Vị trí nằm trong khu vực đông đúc, sầm uất, gần Ủy Ban và Công An Phường, cũng như 2 trường mầm non, 2 trường tiểu học và 2 trường THCS công lập. Ngoài ra, nằm gần chợ, bưu điện và trạm PCCC. Pháp lý rõ ràng với sổ hồng chính chủ, chưa qua đầu tư, không gặp vấn đề quy hoạch và ít lộ giới. Giá bán là 9,1 tỷ đồng, rất hợp lý so với thị trường.

Vị trí bất động sản

---

Phường Tân Tạo

Quận Bình Tân

Thành phố Hồ Chí Minh

Việt Nam

Đặc điểm bất động sản

Nhà ở

174 m²

1 tầng

Đông Nam

---

---

2002

Nhà cấp 4

---

---

Sổ đỏ lâu dài

Có thể bạn quan tâm

Dự án có thể bạn quan tâm

Quý vị đang xem nội dung tin mua nhà "Mặt tiền Nguyễn Triệu Luật chỉ 50 tr/m2, ko quy hoạch, lộ giới ít, có dãy trọ và kiot mặt tiền" - Mã tin 10322340. Mọi thông tin, nội dung liên quan tới tin mua nhà này là do người đăng tin đăng tải và chịu trách nhiệm. Cenhomes.vn luôn cố gắng để các thông tin được hữu ích nhất cho Quý vị tuy nhiên Cenhomes.vn không đảm bảo và không chịu trách nhiệm về bất kỳ thông tin, nội dung nào liên quan tới tin mua nhà này. Trường hợp phát hiện nội dung tin đăng không chính xác, Quý vị hãy thông báo và cung cấp thông tin cho Ban quản trị Cenhomes.vn theo Hotline 1800 6268 để được hỗ trợ nhanh và kịp thời nhất.